Grundstücksveräußerung für Geschosswohnungsbau in Karlsbad-Langensteinbach
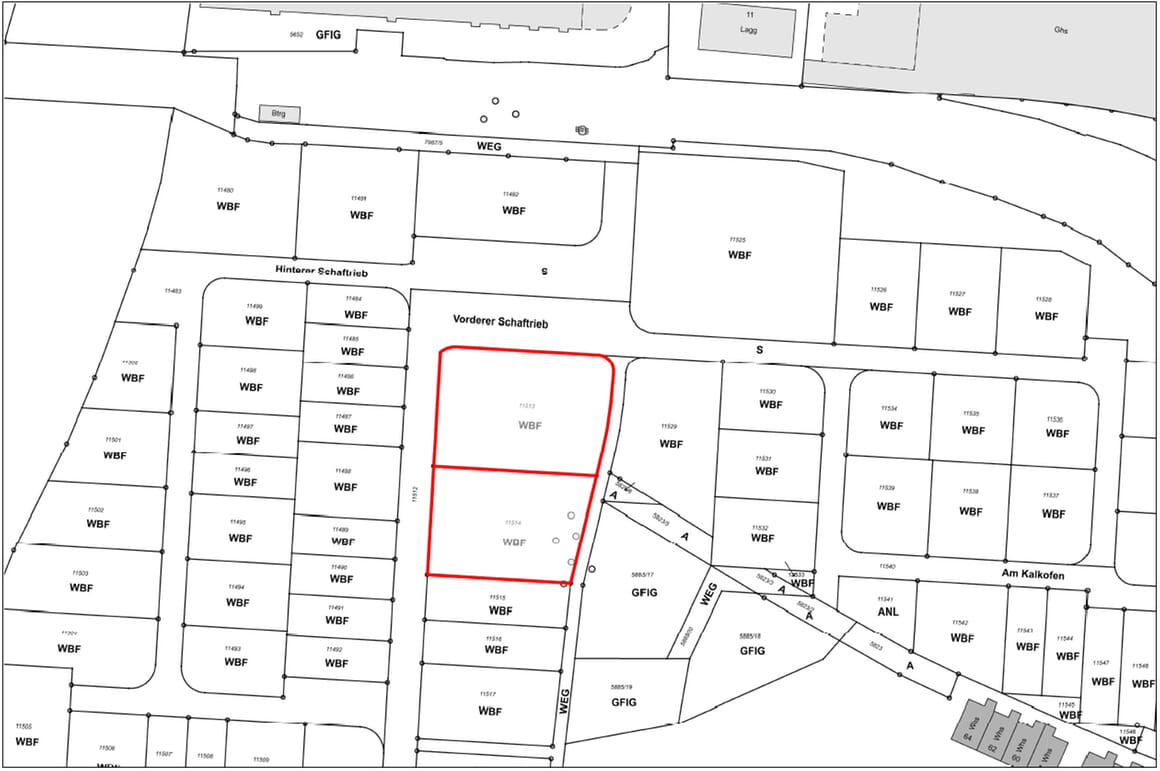
Die Gemeinde Karlsbad veräußert die zwei im Baugebiet „Schaftrieb“ gelegenen Grundstücke Flst. 11513 mit einer Größe von 1.202 m², sowie das Flst. 11514 mit einer Größe von 970 m² für Geschosswohnungsbau.
Die Nähe zur Autobahn mit Anschlussstelle Karlsbad bietet schnelle Verbindung in alle Verkehrsrichtungen. Der Standort ist gut erreichbar, besitzt schon jetzt eine gute Infrastruktur und bietet hohe Lebensqualität. Entlang des Ost- u. Nordrands des Baugebiets verläuft die S-Bahnlinie der AVG von Karlsbad über Ettlingen nach Karlsruhe, deren Haltestelle „Schießhüttenäcker“ direkt an das Baugebiet angrenzt. Nördlich der Bahnlinie schließt sich das gleichnamige Gewerbegebiet „Schießhüttenäcker“ mit nahezu allen Einkaufsmöglichkeiten an. Die Nähe zu wichtigen Einrichtungen wie Kindergärten, Grundschule, Schulzentrum, Ärzte, Apotheken ist ebenfalls gegeben.
Gemäß Beschluss des Gemeinderats vom 28.09.2022 veräußert die Gemeinde Karlsbad die beiden im Plan rot umrandeten Grundstücke zu nachstehenden Bedingungen:
Die Gemeinde Karlsbad veräußert die im Baugebiet „Schaftrieb“ in Karlsbad-Langensteinbach gelegenen Grundstücke Flst. 11513 (1.202 m²) sowie Flst. 11514 (970 m²) im Bieterverfahren.
Als Mindestverkaufspreis sind 590 € / m² vom Gemeinderat festgelegt.
Grundstück Flst. 11513 1.202 m² x 590 € = 709.180 € Mindestgebot
Grundstück Flst. 11514 970 m² x 590 € = 572.300 € Mindestgebot
Vonseiten der Gemeinde Karlsbad wird die Schaffung möglichst vieler Wohneinheiten mit ausreichend Parkplätzen präferiert.
Die Grundstücke können getrennt voneinander oder aber im Zuge einer ganzheitlichen Planung zusammen veräußert werden.
Die Grundstücke liegen im Bereich des „Allgemeinen Wohngebiets“ des Baugebiets. Der Bebauungsplan „Schaftrieb“ kann unter www.karlsbad.de -> Wohnen / Wirtschaft -> Bebauungspläne und örtliche Bauvorschriften -> Langensteinbach -> Schaftrieb eingesehen werden. Auskünfte hierzu erteilt Ihnen die Bauverwaltung der Gemeinde Karlsbad im Rathaus Ittersbach, Lange Straße 54, 76307 Karlsbad, Tel. 07248 9144-523.
Ihre Bewerbung richten Sie bitte bis spätestens 22.05.2026 an die Gemeinde Karlsbad, Rathaus Auerbach, Remchinger Straße 68, 76307 Karlsbad.
Entsprechende Konzepte / Planungen sowie ein Kaufpreisangebot sind der Bewerbung beizufügen. Grundsätzlich befindet sich der Gemeinderat in freier Entscheidung über die Vergabe, es besteht kein Anspruch auf den Zuschlag.
Telefonische Auskünfte erteilt das Liegenschaftsamt, Herr Keck unter Tel. Nr. 07202 9304-622 oder Herr Becker unter 07202 9304-616.
Björn Kornmüller
Bürgermeister
